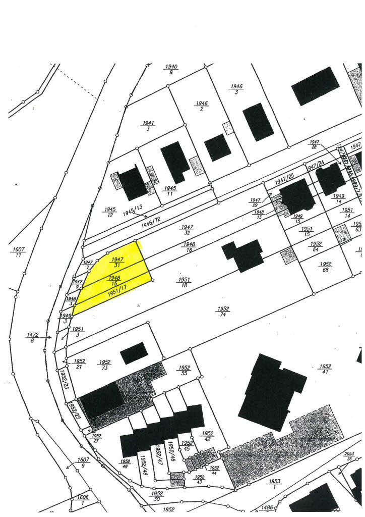
| Kaufpreis € | 110.000,00 | Fläche m² | 621,00 |
| Front m | 30,00 | Tiefe m | 20,00 |
| Bebaubar mit | Wohnhaus | Gemarkung | Rohrbach |
| Kaufpreis/m² € | 177,13 | Bebaubar nach | Bebauungsplan (§30BauGB) |
| Frei ab | sofort | ||
| Online-Nr. | 12401158 | Objekt-Nr. | 1-6524 |
| Objekt-Nr.: 1-6524 · Online-Nr.: 12401158 · Flächen- und Maßangaben sind ca.-Werte. Es gelten die Allgemeinen Geschäftsbedingungen des Anbieters. |
0681-876280
