Stufe zurück

Bauplätze in herrlicher Randlage Bischofswerda

Baugrundstück, D-01877 Bischofswerda, Kaufpreis: 99.000,00 €

Objektdaten

Kaufpreis €99.000,00 Fläche m²1.360,00
Online-Nr.12379655 Interne Nr.DD 8000
Objekt-Nr.1-9105557  

Kurzexposé

Die Grundstücke liegen an einer ruhigen Seitenstraße in Bischofswerda im Stadtteil Belmsdorf. Hier können Sie freistehende EFH errichten.
Herrlich an Feldern & Wiesen gelegen, erreichen Sie in nur 2-3 Minuten das Stadtzentrum von Bischofswerda.
Eine Busverbindung führt direkt zum Grundstück.

Die Baugrundstücke bieten wir Ihnen ohne Bauträgerbindung an, können Ihnen jedoch gerne erfahrene Hausbaufirmen vermitteln.

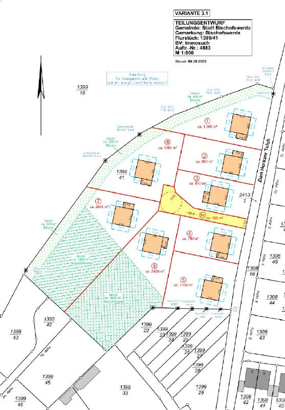
Parz. 1, KP 99.000,- €, ca. 1.360 m²
Parz. 2, KP 99.000,- €, ca. 880 m²
Parz. 3, KP 99.000,- €, ca. 810 m²
Parz. 4, KP 99.000,- €, ca. 750 m²
Parz. 5, KP 99.000,- €, ca 1.100 m²
Parz. 6, KP 125.000,- €, ca. 2.400 m² + ca. 128,33 m² 1/3 Anteil Privatstraße
Parz. 7, KP 125.000,- €, ca. 2.540 m² + ca. 128,33 m² 1/3 Anteil Privatstraße
Parz. 8, KP 125.000,- €, ca. 1.395 m² + ca. 128,33 m² 1/3 Anteil Privatstraße

Dieses Objekt bieten wir Ihnen provisionsfrei an.

Die von uns gemachten Angaben haben wir nach bestem Wissen und Gewissen, sowie den uns vom Eigentümer zur Verfügung stehenden Informationen zusammengestellt.

Eine Gewähr für diese Angaben können wir nicht übernehmen.

Wichtige Zahlen und Informationen sind am Objekt zu überprüfen.

Der Verkauf bleibt vorbehalten.

Lagebeschreibung

Über die B 6 sind Sie in etwa 30 Minuten in Dresden. Der Flughafen Dresden ist ca. 35 km entfernt.
Bischofswerda hat eine gut funktionierende Infrastruktur mit Kindereinrichtungen, Schulen, Ärzten, Einkaufsmöglichkeiten und Buslinien.

Die Sächsische Schweiz (ca. 30 km) und das Lausitzer Seenland (ca. 60 km) sind in relativ kurzer Zeit zu erreichen.
Objekt-Nr.: 1-9105557 · Interne Nr.: DD 8000 · Online-Nr.: 12379655 · Flächen- und Maßangaben sind ca.-Werte.
Es gelten die Allgemeinen Geschäftsbedingungen des Anbieters.

Immobilien-Schnellanfrage

Ich möchte mehr Infos zu diesem Objekt!
Herr Frau
Vorname*
Nachname*
Telefon
E-Mail*
Ich habe die Datenschutzerklärung gelesen und bin mit der Verarbeitung meiner Daten sowie einer Kontaktaufnahme einverstanden.*
Ausführliches Formular

Anbieter

iMMOSUCH GmbH

Forststraße 15

D-01099 Dresden

0351 8337330

0351 83373329

E-Mail senden

weitere Unbebaute Grundstücke / Priv. Nutzung

Datenschutz  ·   Portal-Impressum  ·   Drucken...  ·  nach oben